조황관리HOME / 조황관리 / 상세정보

제목 : 풍화리 선외기의 마릿수 감성돔 조황
등록일 : 2025-11-05

수양레저는 핸들식 선외기 10대(60마력 1대, 50마력 3대, 30마력 5대, 20마력 1대).틸러식 25마력 3대를 운영하고 있으며 


모든 선외기에 전동윈치를 설치해 집어망을 올리때 윈치를 사용해 편안한 낚시가 가능하며.

 대여용 선외기에 설치된 전동윈치는 수양레저가  

최초이며 현재까지 유일 합니다.
 

모든 배에 감성돔, 참돔 낚시를 위해 낚시대 거치대  

한쪽에 7개씩 양측 14개 설치되어 있습니다.
 

초보자를 위해 모든 장르의 낚시대와 릴을 

대여해 드립니다.

수양레저 협력 펜션 운영
바다위통나무펜션 : 수양레저 이용시 펜션비 10% 할인
펜션 실시간 예약 홈페이지 : ( http://www.seagrime.com )

연화도.jpg

슈퍼우먼의 낚시 도시락

주말은 3~4일전 평일은 출조 하루전 오후 5시까지 전화로 주문하시면 수양레저에서 도시락 수령과 반납이 가능합니다.
도시락 주문 전화번호 : 010-9749-7997
도시락 가격 : 1인분 9천원 / 최소 2인 이상 주문 가능


f_8ghUd018svc1020c4e6xt878_quwfk6 (1).jpg


f_8ghUd018svcl82irdgj4xpj_quwfk6 (1).jpg


f_aghUd018svcg7nzc7bps6zv_quwfk6 (1).jpg


선외기 대여료

1인 : 8만원, 2인 : 10만원, 3인 : 13만원, 4인 : 15만원
루어(문어, 갑오징어, 무늬, 참돔 타이라바)는 상기 금액에서 2만원이 추가 됩니다..


수양레저 예약문의 : 010-8833-0230

실시간 예약 홈페이지 : http://suyang.sunsang24.com/

수양레저 밴드는 출조 조사님들의 실제 조황이 업로드 됩니다..
진실된 조황을 확인 할수 잇는 수양레저 밴드로 초대 합니다  

주 소 : 통영시 산양읍 풍화일주로 367 (산양읍 풍화리 753-1)

        산양초등학교 풍화분교 50m 전(앞)

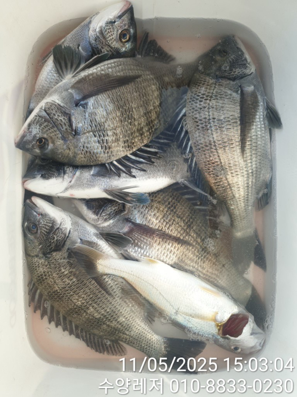
통영 풍화리 선외기 명가 수양레저의 11
월 5일 마릿수 감성돔 조황입니다.



TimePhoto_20251105_142752.jpg


TimePhoto_20251105_150304.jpg
 



======= 수양레저 예약안내 =======

■ 예약문의 : 010-8833-0230
■ 오시는길 : 경남 통영시 산양읍 풍화일주로 367

■ 홈페이지 예약 : http://suyang.sunsang24.com
■ 계좌안내 : 농협 / 352-0867-7470-63 / 오영수

#수양레저 #선상낚시 #바다낚시 #배낚시  #낚시배 #낚싯배 #선상24
Top